Wydarzenia, Z ostatniej chwili
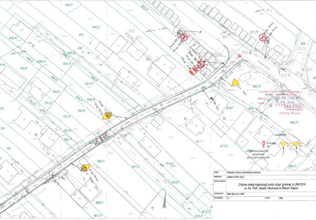
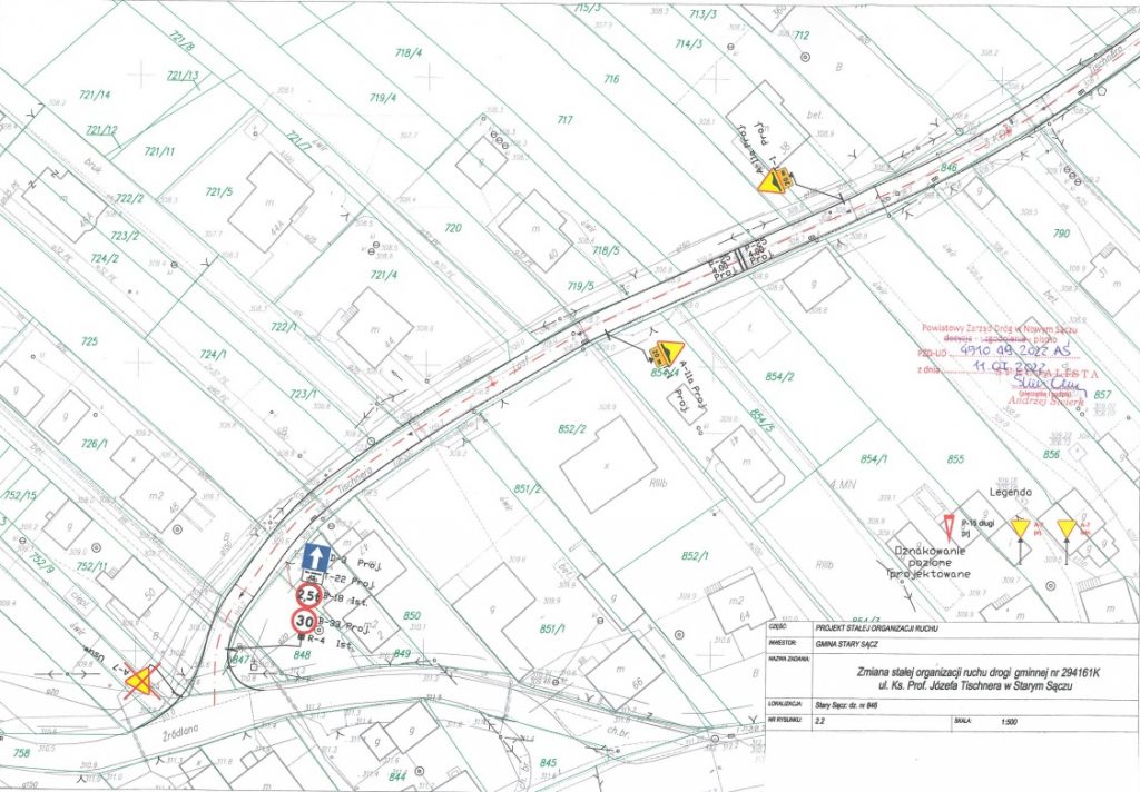
Na ulicy Tischnera pojedziemy w jednym kierunku
Od 15.09.2022 r. zostanie wprowadzony ruch jednokierunkowy na ul. ks. prof. Józefa Tischnera w Starym Sączu w kierunku od ul. Źródlanej do ul. Podegrodzkiej. Ruch jednokierunkowy nie będzie dotyczył rowerzystów.








Etap szkolny IV edycji konkursu „Stary Sącz. Wiem, gdzie mieszkam” za nami!
Stary Sącz. Rekrutacja do Dziennego Domu Seniora
Rada Miejska stawia na rozwój i kontynuacje inwestycji. Budżet 2026 uchwalony jednogłośnie
Drzej. on Starostwo Powiatowe zmieniło klasyfikacje gruntów. Gigantyczne podatki
1 listopada, 2024 o 4:26 pmJa on Starostwo Powiatowe zmieniło klasyfikacje gruntów. Gigantyczne podatki
31 października, 2024 o 4:33 pm19 listopad 2017r. – Zoduski Muzykonckie – Moje Blog on Zoduski Muzykonckie Związku Podhalan w Łącku
10 października, 2023 o 10:49 pm